Okonek (gw), Lędyczek

Działka na sprzedaż

Szczegóły oferty

 

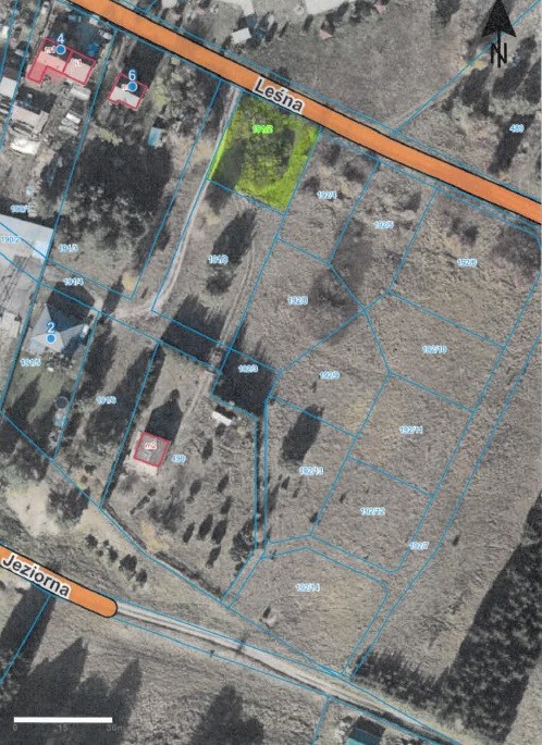
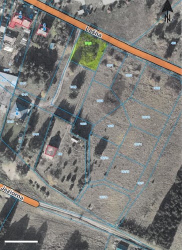
Działka rekreacyjna  o pow. 800 m2 ( działka gruntu nr 191/2 w Lędyczku),  położona na terenie przeznaczonym pod zabudowę letniskową z możliwością całorocznego użytkowania. Nieruchomość stwarza również możliwość prowadzenia działalności usługowej, dzięki czemu stanowi doskonałą propozycję zarówno dla osób prywatnych, jak i inwestorów szukających gruntu o wszechstronnym potencjale.

Zgodnie z obowiązującymi warunkami zabudowy dopuszcza się:

  • budowę budynku parterowego z użytkowym poddaszem i możliwością podpiwniczenia,

  • maksymalną wysokość zabudowydo 7 m,

  • dach spadzisty o kącie nachylenia 30°,

  • maksymalną powierzchnię zabudowydo 20% powierzchni działki.

Działka położona jest w spokojnej, malowniczej okolicy, idealnej do wypoczynku lub stworzenia całorocznego domu . Otoczenie terenów zielonych sprzyja relaksowi i rekreacji na świeżym powietrzu.
 

Lędyczek leży w Dolinie  rzeki Gwdy,  oraz nad jej dopływem Debrzynką. Ponadto w Lędyczku do Gwdy uchodzi rzeka Szczyra, a w pobliżu miejscowości uchodzi rzeka  Czarna. Idealne miejsce dla miłośników spływów kajakowych. Działka położone bardzo blisko bogatego w grzyby lasu. 

Przez miejscowość przebiega droga krajowa nr 22 (Kostrzyn–Grzechotki)  Miejscowość leży w pobliżu takich miejscowości jak:


Powyższy opis ma charakter informacyjny i nie stanowi oferty w rozumieniu przepisów Kodeksu Cywilnego. Wszelkie prawa zastrzeżone! Opis oraz zdjęcia są własnością biura. Kopiowanie, powielanie, wykorzystywanie zdjęć i opisu bez zgody autora zabronione. Zapraszam serdecznie do zapoznania się z ofertą i prezentację

Nota prawna

Opis oferty zawarty na stronie internetowej sporządzany jest na podstawie oględzin nieruchomości oraz informacji uzyskanych od właściciela, może podlegać aktualizacji i nie stanowi oferty określonej w art. 66 i następnych K.C.
Symbol oferty FRP-GS-198724
Powierzchnia 800,00 m²
Zagosp. działki niezagospodarowana
Ukształtowanie działki płaska
Kształt działki prostokąt
Ogrodzenie działki brak
Dojazd droga gruntowa
Otoczenie las

Kalkulator kredytowy

PLN
%
Wysokość raty

Kalkulator kosztów

PLN
PLN
PLN
PLN
PLN
PLN
%
PLN
Podatek od czynności cywilno-prawnych
Taksa notarialna (opłata notarialna)
VAT od taksy notarialnej (opłaty notarialnej)
Wniosek do WKW
VAT od wniosku do WKW
Prowizja agencji nieruchomości
VAT od prowizji agencji nieruchomości
Wypisy aktu notarialnego - około
RAZEM (cena + opłaty)

Napisz do nas

Proszę wypełnić to pole
Proszę wypełnić to pole
Proszę wypełnić to pole
Proszę wypełnić to pole
Proszę wypełnić to pole
Trwa wysyłanie...

Ta strona wykorzystuje pliki cookies w celach statystycznych oraz w celu dostosowania naszych serwisów do indywidualnych potrzeb klientów. Zmiany ustawień dotyczących plików cookie można dokonać w dowolnej chwili modyfikując ustawienia przeglądarki. Korzystanie z tej strony bez zmian ustawień dotyczących cookies oznacza, że będą one zapisane w pamięci urządzenia.

rozumiem