Czarnków (gw), Radolinek

Działka na sprzedaż

Szczegóły oferty

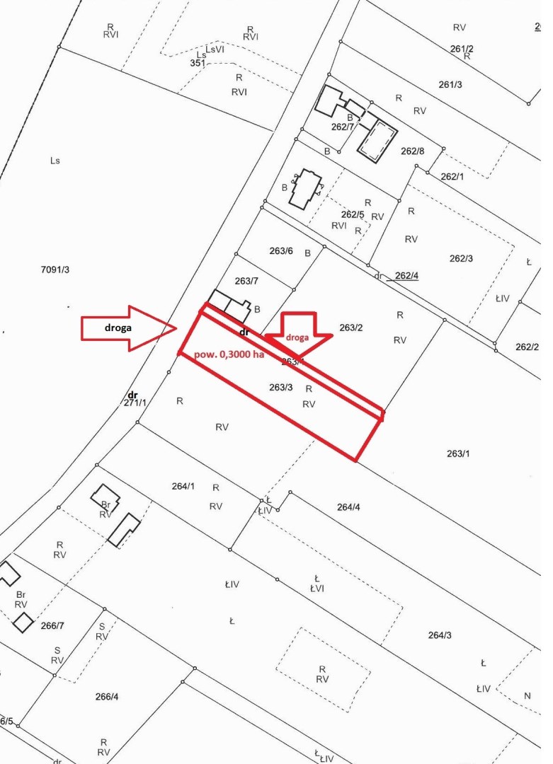
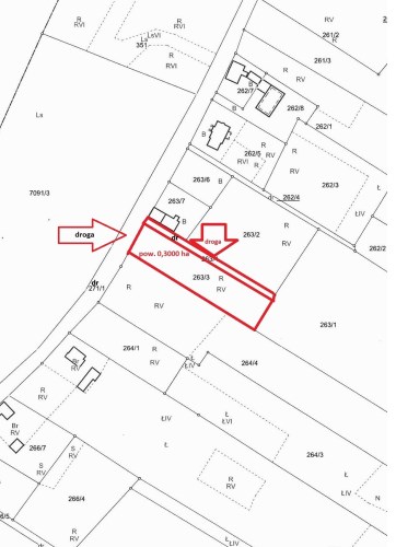
Niezabudowana działka gruntu
nr geodezyjny 263/3
położona w Radolinku
(10km do Czarnkowa, 11km do Trzcianki)


OFERTA BEZPOŚREDNIA
Sprzedający pokrywa wynagrodzenie biura w całości


Usytuowana w linii zabudowy budynków mieszkalnych
Przybliżone wymiary 25x134
Dojazd drogą asfaltową.
Działka posiada bezpośredni dostęp do drogi publicznej, ponadto możliwość zjazdu z drogi (szer. ok. 5m) wzdłuż działki na długości ok. 134m.

Działka nie jest objęta obowiązującym miejscowym planem zagospodarowania przestrzennego; nie jest położona na obszarze rewitalizacji, ani na obszarze Specjalnej Strefy Rewitalizacji. Nie jest objęta uproszczonym planem urządzenia lasu.

Radolinek to wieś o zabudowie ulicowej, położona u podnóża skarpy pradoliny Noteci, w północnej części gminy Czarnków. W całości posiada dawną zabudowę, zachowaną w prawie niezmienionym stanie: liczne domy z XIX w. oraz budynek byłej szkoły podstawowej

Uzbrojenie : wodociąg (bez przyłącza, w drodze) i energia elektryczna (brak skrzynki)

 

Sprzedajemy nieruchomości od 30 lat, zatem wiemy o nich całkiem sporo ;)

Decyzja o zakupie nieruchomości, a w szczególności domu lub mieszkania jest jedną z najważniejszych w naszym życiu. Bez znajomości rynku, wiedzy i wsparcia można wpaść w wiele pułapek, a wówczas realizacja marzeń może stać się niemożliwa.

Razem przejdziemy przez cały proces zakupu, zadbam o każdy szczegół, pomogę przy uzyskaniu kredytu.

Do zobaczenia na prezentacji ;)

Nota prawna

Opis oferty zawarty na stronie internetowej sporządzany jest na podstawie oględzin nieruchomości oraz informacji uzyskanych od właściciela, może podlegać aktualizacji i nie stanowi oferty określonej w art. 66 i następnych K.C.
Symbol oferty FCZ-GS-195380
Powierzchnia 3 000,00 m²

Kalkulator kredytowy

PLN
%
Wysokość raty

Kalkulator kosztów

PLN
PLN
PLN
PLN
PLN
PLN
%
PLN
Podatek od czynności cywilno-prawnych
Taksa notarialna (opłata notarialna)
VAT od taksy notarialnej (opłaty notarialnej)
Wniosek do WKW
VAT od wniosku do WKW
Prowizja agencji nieruchomości
VAT od prowizji agencji nieruchomości
Wypisy aktu notarialnego - około
RAZEM (cena + opłaty)

Napisz do nas

Proszę wypełnić to pole
Proszę wypełnić to pole
Proszę wypełnić to pole
Proszę wypełnić to pole
Proszę wypełnić to pole
Trwa wysyłanie...

Ta strona wykorzystuje pliki cookies w celach statystycznych oraz w celu dostosowania naszych serwisów do indywidualnych potrzeb klientów. Zmiany ustawień dotyczących plików cookie można dokonać w dowolnej chwili modyfikując ustawienia przeglądarki. Korzystanie z tej strony bez zmian ustawień dotyczących cookies oznacza, że będą one zapisane w pamięci urządzenia.

rozumiem